subota, 6. dec 2025.
  • NAJNOVIJE
  • HOROSKOP
  • HYPE ŽENA
Pretraga
Hype TV
Ad imageAd image
  • Naslovna
  • VESTI
    • DRUŠTVO
    • POLITIKA
    • KULTURA
  • HYPE ZVEZDE
  • SHOWBIZ
  • JET SET
  • Rijaliti
  • SPORT
  • HRONIKA
Reading: Najjači uragan u istoriji: Naređena masovna evakuacija
Font ResizerAa
Hype TVHype TV
  • NASLOVNA
  • VESTI
  • HYPE ZVEZDE
  • SHOWBIZ
  • JET SET
  • RIJALITI
  • SPORT
  • HRONIKA
  • TV PROGRAM
  • NASLOVNA
  • VESTI
    • DRUŠTVO
    • POLITIKA
    • KULTURA
  • HYPE ZVEZDE
  • SHOWBIZ
  • JET SET
  • RIJALITI
  • SPORT
  • HRONIKA
  • TV PROGRAM
Pratite nas
© 2025 Hype TV
Home » Najjači uragan u istoriji: Naređena masovna evakuacija
DRUŠTVOVESTI

Najjači uragan u istoriji: Naređena masovna evakuacija

28.10.2025 | 01:00
DRUŠTVO VESTI
Vreme čitanja 1 min.
Podeli

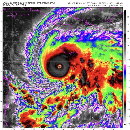
Američki Nacionalni centar za uragane upozorava da je reč o ekstremno opasnom sistemu čije sporo kretanje povećava rizik od razarajućih poplava i klizišta. Procene meteorologa ukazuju da bi u naredna četiri dana na Jamajci moglo pasti i do jedan metar kiše, što bi dovelo do katastrofalnih posledica po infrastrukturu i stanovništvo.

CEO VIDEO POGLEDAJTE KLIKOM OVDE

Premijer Endru Holnes naredio je hitnu evakuaciju pojedinih naseljenih područja, naročito u glavnom gradu Kingstonu i u nizijama.

„Pripremite se, ostanite u domovima i poštujte naloge o evakuaciji. Prebrodićemo ovo i izgradićemo jaču Jamajku”, rekao je Holnes.

CEO VIDEO POGLEDAJTE KLIKOM OVDE

Uragan je već pogodio Haiti i Dominikansku Republiku, gde je najmanje četvoro ljudi izgubilo život, dok su stotine domova poplavljene. Nakon Jamajke, očekuje se da Melisa pogodi jug Kube u utorak uveče, a zatim da nastavi prema Bahamima.

Lokalne vlasti pozvale su građane da ostanu mirni, prate zvanična saopštenja i preduzmu sve mere zaštite kako bi se umanjile posledice nadolazeće oluje.

CEO VIDEO POGLEDAJTE KLIKOM OVDE

Hypetv.rs/ N.Š.

GLEDAJTE NAS!

Čitajte Hypetv.rs portal, najbrži portal u Srbiji i regionu sa najvećim rastućim rezultatima i ekskluzivnim vestima. Zapratite nas i na Instagramu, Facebook, Threads!

ČITAJTE NAS I NA HYPETV KANALIMA WHATSAPP, VIBER I TELEGRAM.

OZNAKE:Amerikanajveći u istorijiUraganUragan Melisa
Podeli
Facebook Whatsapp Whatsapp Threads Email Copy Link Print
Prethodna objava EVO GDE ŽIVI MILOMIR MARIĆ SA SVOJOM SUPRUGOM! Salonac kod Botaničke bašte vredi MILIONE (FOTO)
Sledeća objava SNEG ĆE UJUTRU ZABELETI SRBIJU! Šok najava RHMZ, od prekosutra opet PROLEĆNE temperature
Nema komentara

Ostavite odgovor Odustani od odgovora

Vaša adresa e-pošte neće biti objavljena. Neophodna polja su označena *

Pratite nas

FacebookLike
InstagramFollow
YoutubeSubscribe
TiktokFollow

Najnovije

Dnevni horoskop za 25. novembar: Devica rešava dug, Vodolija otkriva tajnu, Lavu stiže ponuda za posao

EVO KOLIKO JE MIRZA SELIMOVIĆ NAPUNIO GODINA! Svi su mislili da je pevač mlađi – OVAJ PODATAK ĆE VAS ŠOKIRATI!

Đedović Handanović sa naftašima: Prioritet da se obezbedi snabdevanje domaćeg tržišta derivatima!

MIA BORISAVLJEVIĆ INTIMU PREKRILA SAMO ŠAKAMA! Komentari samo pljušte! (FOTO)

HYPETV na mestu stravičnog požara!

IZBIO POŽAR U VRTIĆU NA ZVEZDARI! Svi su hitno evakuisani, ovo su DETALJI!

MIRKA VASILJEVIĆ U HOT IZDANJU! Glumica novom objavom ZAPUŠILA USTA SVIMA! EVO ŠTA RADI! (FOTO)

Ne propustite

Gej ošamario saigrača Evertona

SKANDAL BEZ PRESEDANA: Evertonov vezista isključen jer je ošamario saigrača (VIDEO)

SPORT VESTI

(ANKETA) TEODORA ILI ĐINA?! Piše se da su pokazale više nego što sme, a koja je atraktivnija?! (FOTO)

SHOWBIZ VESTI

„LJUTILA SAM SE NA NJU! BILO MI JE ČUDNO..“ Jelena Karleuša progovorila o POTRESNIM DETALJIMA poslednjeg susreta sa Ljiljom Jorgovanović!

SHOWBIZ VESTI

JAKOV JOZINOVIĆ POSLUŠAO MUDAR SAVET SAŠE MIRKOVIĆA! Hrvatski pevač zakazao koncert u Areni Zagreb za jun 2026. godina?!

SHOWBIZ VESTI
Prikaži više
2787641c-092d-4dcf-8bd1-654231d30950

ČITAJTE NAS I NA HYPE TV KANALIMA WHATSAPP, VIBER I TELEGRAM

Čitajte Hypetv.rs portal, najbrži portal u Srbiji i regionu sa najvećim rastućim rezultatima i ekskluzivnim vestima. Zapratite nas i na društvenim mrežama Instagram, Facebook, Threads, TikTok!
  • Impresum
  • Politika privatnosti
  • Uslovi korišćenja
  • Kontakt
Pratite nas
2025 © Hype TV
Welcome Back!

Sign in to your account

Username or Email Address
Password

Lost your password?